Search Land - Vacant Land in Sigurd
Vacant Land in Sigurd
$119,900|Listed: Jun 28, 2024
MLS#1218666
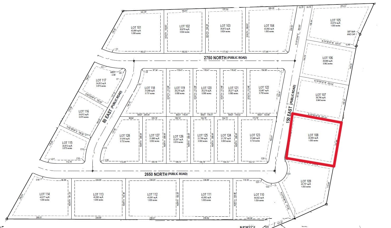
CEDAR RIDGE ESTATES LOT 108, Sigurd, Utah
Status:Active
Property Type
- Acreage
Acreage
1 acres
County
, Utah
Format
Sale
Features
- Hunting
- Fishing
Description
Come build your dream home!! New Subdivision with mountain views, culinary water, and animal rights. Quick easy access to I-70, this subdivision sits just Northeast of the Sigurd exit. Paved roads with curb & gutter and lots ranging from 0.5 to 1.06 acres. Road improvements and utilities starting in July 2024, reserve your lot today!! All info provided as a courtesy, buyer to verify accuracy of all information.
Listing Agent
Marcus Blood
Co-Op Member Owner
Preferred Properties
Richfield, Utah
By submitting, you agree to our privacy policy and terms.

Want to learn more about our financing options?
Enter your email below to receive free resources and information.
By submitting, you agree to our privacy policy and terms.


















