Search Land - 38.95 AC / ALL UTILITIES INSTALLED / MTN VIEWS / NO RESTRICTIONS / CHRISTMAS TREE FARM IN PLACE
38.95 AC / ALL UTILITIES INSTALLED / MTN VIEWS / NO RESTRICTIONS / CHRISTMAS TREE FARM IN PLACE
$749,900|Listed: Feb 10, 2026
MLS#113108265
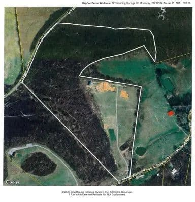
127 Rushing Spring Rd, Monterey, Overton County, Tennessee
Status:Active
Property Type
- Farm
- Acreage
- Home with Acreage
Acreage
38.95 acres
County
Overton
Format
Sale
Features
- Creek
- Pond
Documents
Description
38.95 surveyed ac located in the mtns and hills of Monterey, TN. located in a private & secluded country setting. Ideal for that horse farm with pasture and trails into the woods, lovely creek through the property & a stream flowing into the property. Pond, trails throughout, 360-degree mountain views, mature timberland, harmonious blend of pasture and woods, several building sites to build on, improved driveway with easy access off a paved county road, loads of wildlife, mostly fenced & gated, NO RESTRICTIONS - NO HOA FEES. The property features a spacious 31 x 50 pole barn - garage perfect for storing equipment or hobbies. A flourishing Christmas tree garden - farm with nearly 1200 trees adds a unique touch — and will transfer to the buyer at closing. IMPROVEMENTS: Two footers already in place for two homes (1 site septic system already installed & the other site has a septic system percolation test completed), 400 amp electric has been installed & available, public water installed with multiple water spigots, telephone with cable & internet is installed, two RV sites set up for you to stay and watch your construction of the home (s), 31x50 Barn site already started & all mineral & timber rights transfer to the buyer at closing. Located just 20 minutes or less from Algood, Monterey, and Livingston, TN, you'll enjoy the tranquility of rural living while having easy access to local amenities. Less than 35 minutes away is the beautiful Dale Hollow Lake with some of the best bass fishing in the Country. Buyer to do own due diligence & pertinent information.
Listing Agent
Debra Dodd
Co-Op Member Owner
NO 1 QUALITY REALTY
Celina, Tennessee
By submitting, you agree to our privacy policy and terms.

Want to learn more about our financing options?
Enter your email below to receive free resources and information.
By submitting, you agree to our privacy policy and terms.

More land for sale from this broker
View All
Premier Listing
$249,900|Listed: Sep 30, 2025
6 Acres
Celina, Tennessee, 38551
Premier Listing
$49,900|Listed: Apr 20, 2023
5.05 Acres
Celina, Tennessee, 38551

Premier Listing
$30,000|Listed: Sep 28, 2025
4.2 Acres
Monterey, Tennessee, 38574



















































































































