Search Land - Lots & Land-Other in El Cajon
Lots & Land-Other in El Cajon
$3,650,000|Last Updated: May 8, 2026
MLS#1173056
0 Oak Creek Rd, El Cajon, San Diego County, California
Status:Active
Property Type
- Acreage
Acreage
0 acres
County
San Diego
Format
Sale
Description
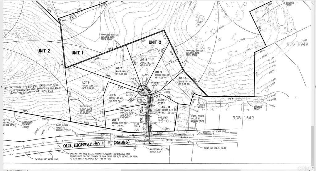
FINAL MAP phase 1 just approved Dec 5th, 2023. Welcome to this incredible opportunity to develop this rare 103 acre property! Located in a very desirable area of Blossom Valley with incredible views and potential luxury home sights. Recent appraisal of 6.4M in documents! Can build in 2 phases; phase 1 lots 12-20 on 59.3 acres and phase 2 lots 1-11 on 44 acres. Perfect project for luxury single family homes on good size parcels. Zoning/NHD report available for this property. The current proposed plan has access off Oak Creek, Old Highway 80, and Flinn Springs rd.
Listing Agent

Mark Kniffing
West
La Mesa, California
By submitting, you agree to our privacy policy and terms.

Want to learn more about our financing options?
Enter your email below to receive free resources and information.
By submitting, you agree to our privacy policy and terms.





































































