Search Land - Lots & Land-Other in Fitzgerald
Lots & Land-Other in Fitzgerald
$31,500|Last Updated: Apr 19, 2026
MLS#120575048
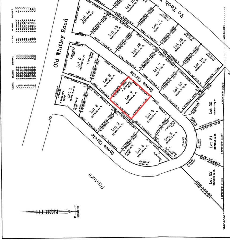
0 Ineva Circle Lot 7, Fitzgerald, Ben Hill County, Georgia
Status:Active
Property Type
- Acreage
Acreage
0 acres
County
Ben Hill
Format
Sale
Description
A rare opportunity to live in Irwin County's most prestigious subdivisions! This .50 acre lot is prime for building and allows for plenty of space to place your dream home! Additionally, this lot enjoys the use of city water without paying the price of city taxes! Own your piece of Irwin County Paradise today! Call for your private showing, this rare opportunity won't be here long!
Listing Agent
Austin Futch
Smith Branch
Tifton, Georgia
By submitting, you agree to our privacy policy and terms.

Want to learn more about our financing options?
Enter your email below to receive free resources and information.
By submitting, you agree to our privacy policy and terms.








