Search Land - Vacant Land in Longview
Vacant Land in Longview
$421,200|Last Updated: May 17, 2026
MLS#1212042
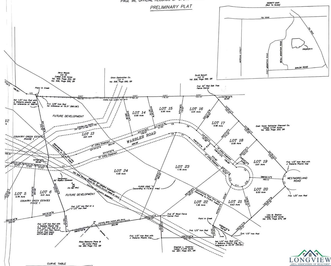
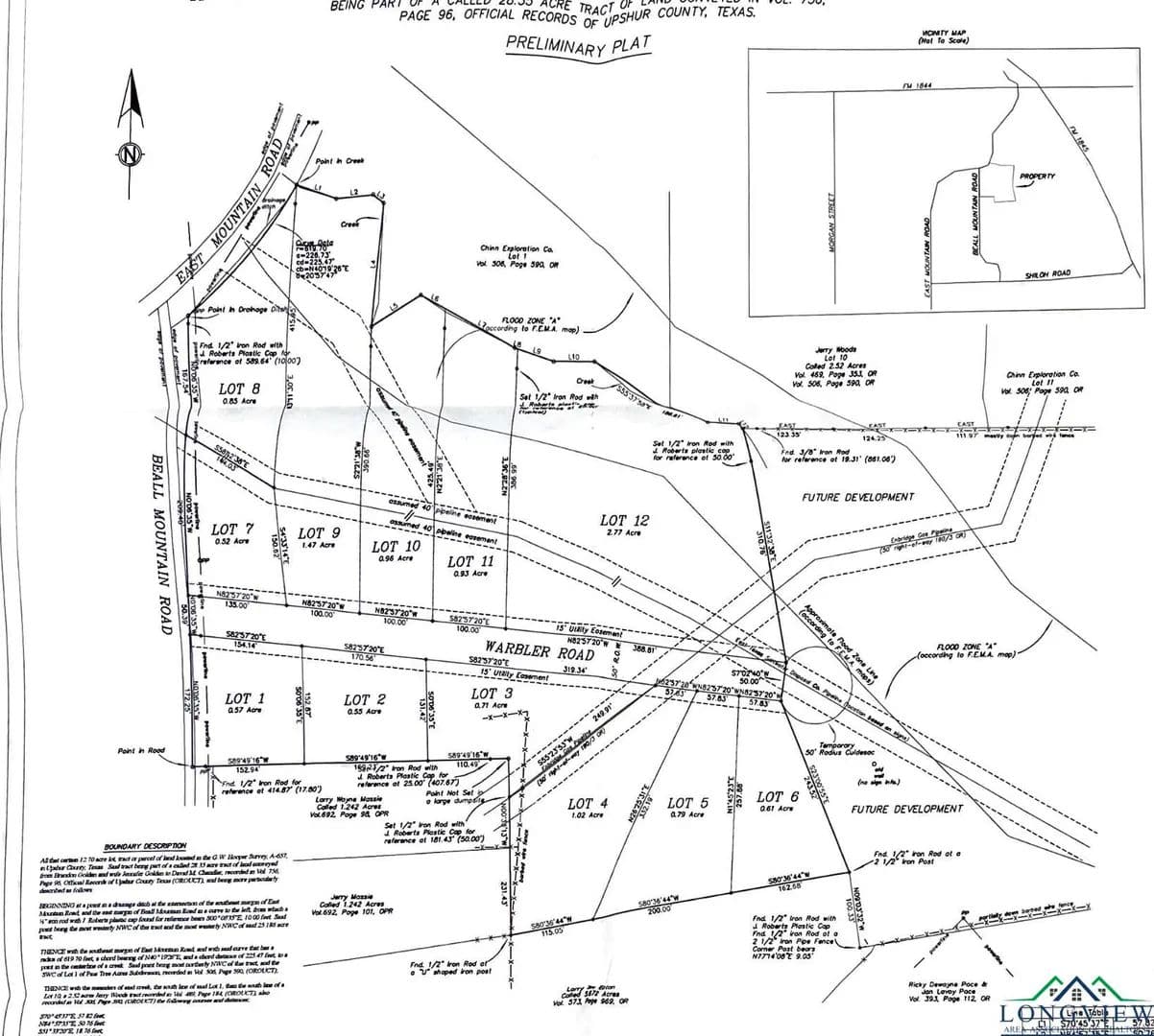
TBD Beall Mountain Rd, Longview, Upshur County, Texas
Status:Active
Property Type
- Acreage
Acreage
20.06 acres
County
Upshur
Format
Sale
Description
Welcome to your opportunity to invest in a beautiful subdivision in Longview! With 16 spacious lots ready to be built upon, this is the perfect chance for investors or builders to secure their slice of paradise in an excellent location. Some lots are cleared, providing a blank canvas for your home design, while others are timbered, allowing for more privacy and a natural feel. This subdivision is located within the Longview city limits, meaning you'll have access to all the amenities the city has to offer, including shopping, dining, and entertainment. Plus, the highly sought-after Gilmer ISD means that your properties will be highly desirable for families seeking top-notch schools. Whether you're looking to build spec homes or custom homes, this subdivision is the perfect place to make your investment dreams a reality. With limited inventory in the area, these lots are sure to sell quickly. Don't miss your chance to be a part of this thriving community contact us today to learn more about available lots. The subdivision has city water, swepco electricity, and an onsite water disposal plan. (Buyer to verify utilities)
Listing Agent
OLEG SHTEYMAN
Lenhart Properties, Inc.
Longview, Texas
By submitting, you agree to our privacy policy and terms.
Co-op Approved Lender
Want to learn more about our financing options?
Enter your email below to receive free resources and information.
By submitting, you agree to our privacy policy and terms.






















