Search Land - Lots & Land-Other in Rockwell
Lots & Land-Other in Rockwell
$295,000|Last Updated: May 10, 2026
MLS#1232622
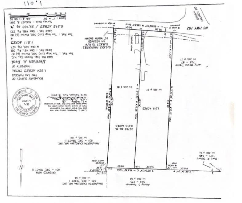
6230 NC 152 Highway E, Rockwell, Rowan County, North Carolina
Status:Active
Property Type
- Acreage
Acreage
1.85 acres
County
Rowan
Format
Sale
Description
Commercial Potential on NC 152 Highway East! Discover a prime opportunity at 6230 NC 152 Highway E in Rockwell, NC. This property features 2 parcels totaling just under 2 acres, currently zoned for single-family residential but surrounded by thriving local businesses, paving the way for potential commercial development. The site includes a spacious garage with two bays, one accommodating large trucks, making it ideal for various business needs. An expansive parking area at the rear adds to the convenience, perfect for both customers and employees. With nearby commercial properties and the flexibility to possibly build either new single-family homes or a commercial establishment, this location offers a wealth of possibilities. Don’t miss your chance to invest in this growing area—contact us today for more details!
Listing Agent

Lin Litaker
Towne & Country
Salisbury, North Carolina
By submitting, you agree to our privacy policy and terms.

Want to learn more about our financing options?
Enter your email below to receive free resources and information.
By submitting, you agree to our privacy policy and terms.


































