Search Land - Vacant Land in Hesperia
Vacant Land in Hesperia
$148,000|Last Updated: May 10, 2026
MLS#169729973
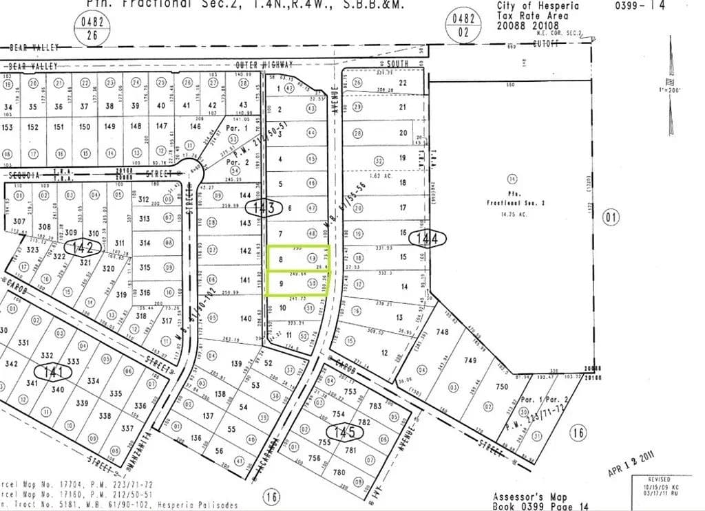
39914350 49 Jacaranda Avenue, Hesperia, San Bernardino County, California
Status:Active
Property Type
- Acreage
Acreage
1.14 acres
County
San Bernardino
Format
Sale
Description
***Come VIEW and MAKE an OFFER TODAY! Incredible COMMERCIAL LAND opportunity in the ever expanding city of Hesperia CA. TWO ADJACENT PARCELS for sale as a package totaling 1.136 ACRES (SEE APNs 0399-143-49 & 50). Located on Jacaranda Ave the parcels are less than one block from one of the busiest intersections in the High Desert on Bear Valley Rd. Very close to existing commercial development and within walking distance to Victor Valley Community College the site sees a ton of traffic everyday. Not to mention utilities are running adjacent to the site making this a must see opportunity before it's too late.***
Listing Agent
Jeffrey Nyal
Home Source
Apple Valley, California
By submitting, you agree to our privacy policy and terms.

Want to learn more about our financing options?
Enter your email below to receive free resources and information.
By submitting, you agree to our privacy policy and terms.


















