Search Land - Lots & Land-Other in Moffat
Lots & Land-Other in Moffat
$210,000|Last Updated: May 7, 2026
MLS#297968697
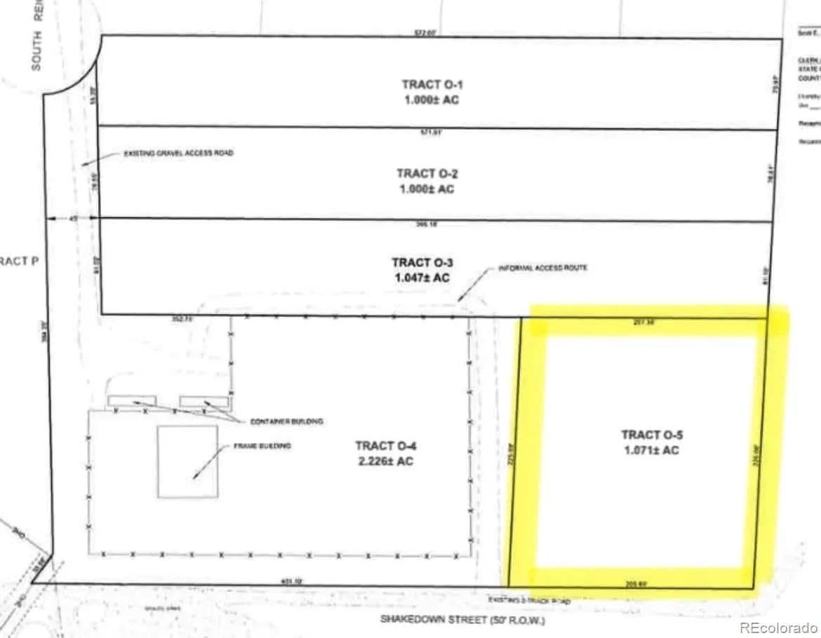
800 S Reigel Court, Moffat, Saguache County, Colorado
Status:Active
Property Type
- Acreage
Acreage
1.07 acres
County
Saguache
Format
Sale
Features
- Water Well
Description
Own a piece of Colorado's Area 420, specifically designated for legal commercial cannabis cultivation. This prime land is situated within a commercial cannabis park, perfect for both indoor and outdoor growing, benefiting from abundant sunshine. With no building codes to restrict your plans, access to electricity, and a reliable clean water supply, you'll be part of a thriving community of growers. If you're looking for more than one acre, there are three additional tracts available that link to this one. The plat map is currently preliminary and can be tailored to align with the vision of the first investor before finalizing and recording the lots. This offers a unique opportunity to customize your investment to suit your specific needs and goals.
Listing Agent

Keri Gage
CENTURY 21 Community First
By submitting, you agree to our privacy policy and terms.

Want to learn more about our financing options?
Enter your email below to receive free resources and information.
By submitting, you agree to our privacy policy and terms.









