Search Land - Lots & Land-Other in Richland
Lots & Land-Other in Richland
$99,900|Last Updated: May 16, 2026
MLS#312418531
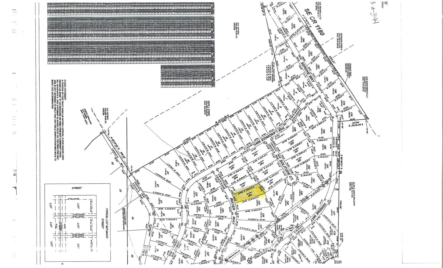
Lot 140 Water Way, Richland, Navarro County, Texas
Status:Active
Property Type
- Acreage
Acreage
1.01 acres
County
Navarro
Format
Sale
Description
Wonderful off water lot on one of Richland Chambers Lake's newest subdivisions, The Landings. Amenities included are clubhouse, workout facility, pickleball court, pool, gathering room with kitchenette and TV AND private boat launch. This would be a great location to relax with a lake lifestyle and close to other city amenities.
Listing Agent

Jeffery Smith
Century 21 Mike Bowman
By submitting, you agree to our privacy policy and terms.
Co-op Approved Lender
Want to learn more about our financing options?
Enter your email below to receive free resources and information.
By submitting, you agree to our privacy policy and terms.



















