Search Land - Vacant Land in Wilmington
Vacant Land in Wilmington
$835,000|Last Updated: May 30, 2026
MLS#396585053
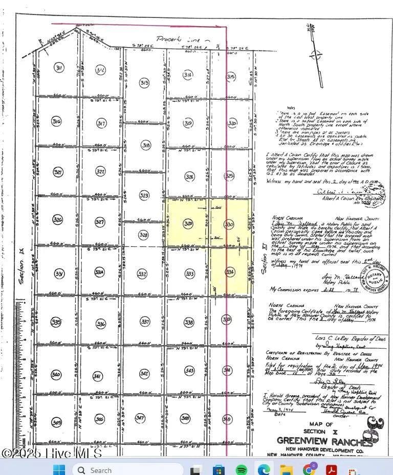
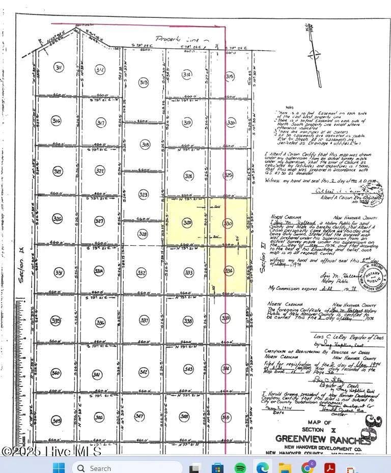
329 329 330 334 Greenview Ranches, Wilmington, New Hanover County, North Carolina
Status:Active
Property Type
- Acreage
Acreage
16.65 acres
County
New Hanover
Format
Sale
Description
16+ acres for sale in this undeveloped, heavily wooded area of Wilmington, NC. Ranches 329, 330 & 334 included in this listing. Ranch 329 is unused land and Ranches 330 & 334 are part of the Duke Energy power lines in the Northeast Wilmington Reliability Project. Parcel #s - R02800-001-103-000, R02800-001-102-00 Wooded land is in one of the fastest growing areas in Wilmington, NC!. Land is perfect to buy and hold as an investment. It is zoned R-15 and has deeded access per plat book 15, page 36, although it is not currently accessible with no dirt, gravel or paved road frontage. Northeastern New Hanover County has a new branch of Novant Hospital Emergency Room, Beautiful Surgery Center, Wilmington Eye Offices, Lowes Home Improvement, Holiday Inn Express Hotel, Walmart, Grocery Stores, Restaurants, Banks, Pharmacies and more all within less than 1 mile of this prope0 & R02800-001-095-000
Listing Agent
Connie Cox
Sea Coast Advantage
Wilmington, North Carolina
By submitting, you agree to our privacy policy and terms.

Want to learn more about our financing options?
Enter your email below to receive free resources and information.
By submitting, you agree to our privacy policy and terms.

More land for sale from this broker
View All
$4,500,000|Listed: Dec 10, 2024
37.81 Acres
Wilmington, North Carolina, 28411





































































































