Search Land - Vacant Land in Michigan City
Vacant Land in Michigan City
$1,050,000|Last Updated: May 27, 2026
MLS#643100868
0 W 400 N, Michigan City, La Porte County, Indiana
Status:Active
Property Type
- Acreage
Acreage
21.81 acres
County
La Porte
Format
Sale
Description
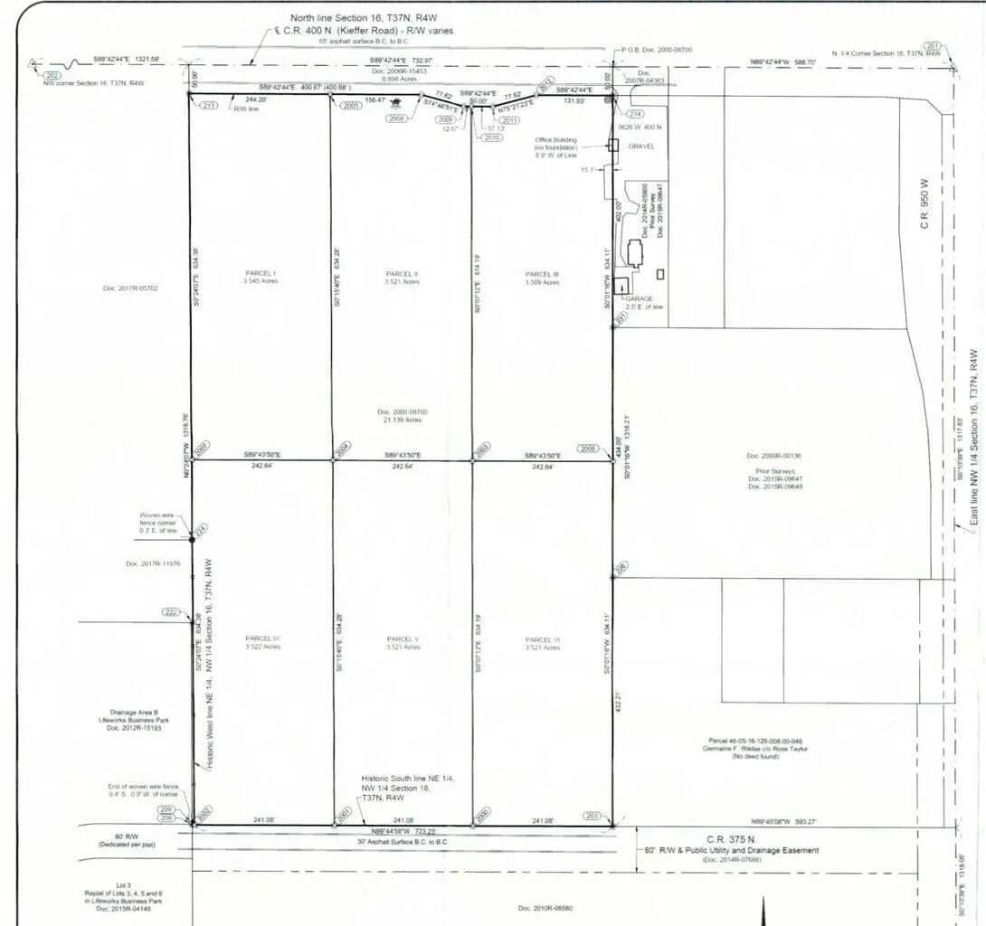
Welcome to the 21.814 acres of W 400 N. This large parcel at the Southern corridor to Michigan City is conveniently located off I-94 and U.S. 421 (Franklin St). Zoned B-3 Highway Commercial. New development surrounds the area including a the substantial investment in a new hospital by Franciscan Health. Geographically perfect location offers two frontages of over 700 feet each. The Northern front faces Walmart while the Southern front sits across from Duneland Dialysis. Build on the entire parcel or divide and make use of the two fronts. Hotels, medical facilities, gas stations, and convenience stores all flourish in this high traffic area. Preliminary survey work has been done on proposed subdivision into 6 parcels of about 3.5 acres each. Each parcel is available for individual purchase. I-94 Traffic count over 45,000 daily. Located in the I-94 TIF District. Two additional, adjacent sites available for a combined 32.58 Acres. Water, Sewer, Gas, and Electric available at street.
Listing Agent
Zane Galloway
618-Coldwell Banker Realty - Chicago
New Buffalo, Michigan
By submitting, you agree to our privacy policy and terms.

Want to learn more about our financing options?
Enter your email below to receive free resources and information.
By submitting, you agree to our privacy policy and terms.















