Search Land - Vacant Land in Bogart
Vacant Land in Bogart
$210,000|Last Updated: May 29, 2026
MLS#749453371
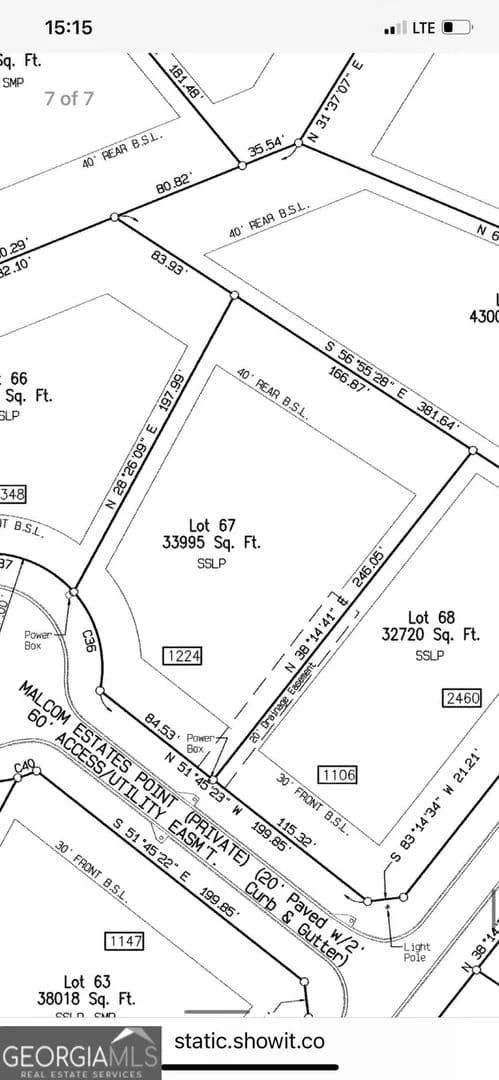
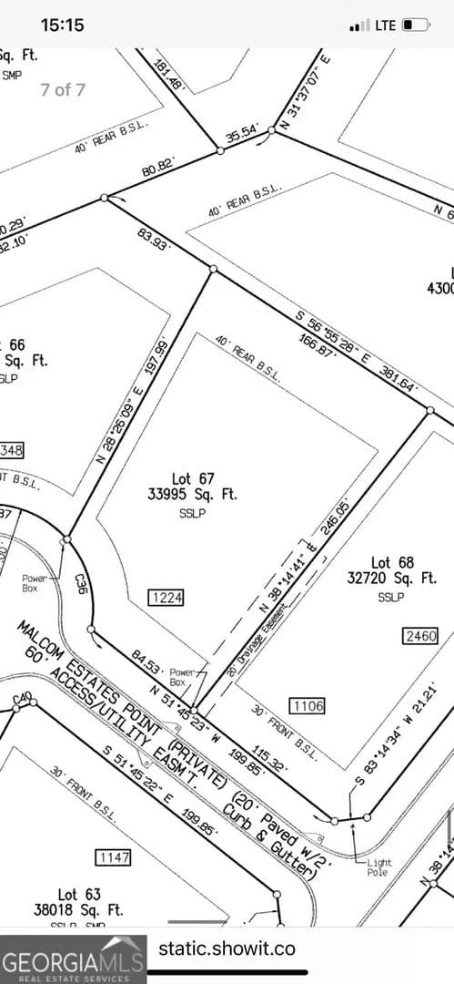
1224 Malcom Estates Point LOT 67, Bogart, Oconee County, Georgia
Status:Active
Property Type
- Acreage
Acreage
0.78 acres
County
Oconee
Format
Sale
Description
Lot 67 is an excellent lot for your dream home in Malcom Bridge Estates Oconee County's newest gated community! Lot 67 is located on a cul-de-sac featuring 0.78 acres, with a great rectangular shape. The minimum square footage to build for a ranch style home is 2,750 square feet and the minimum for a 2 story home is 3,000 square feet. This community is located in North Oconee High school, Malcom Bridge Middle and Malcom Bridge Elementary School. Malcom Bridge Estates has a community pool and clubhouse with additional design guidelines and an HOA. offer a canvas for you to curate your dream home on. Nestled in North Oconee, this location is incredibly convenient and minutes from all that Athens and Oconee have to offer, yet feels tucked away. This community features a gated entrance and a community pool. The lots ranging from 0.69 acres to 3.89 acres with pricing ranging from $200,000 to $400,000. Whether you are wanting to craft your ideal home on an open meadow, a wooded lot, creek front or a combination, Malcom Bridge Estates has a lot that is perfect for you. As soon as you drive through the gates, you will be captivated by this beautiful property and peaceful atmosphere! Contact us today for more information and to explore the possibilities awaiting you at Malcom Bridge Estates!
Listing Agent
Stephen Smith
Upchurch Realty
Athens, Georgia
By submitting, you agree to our privacy policy and terms.

Want to learn more about our financing options?
Enter your email below to receive free resources and information.
By submitting, you agree to our privacy policy and terms.























