Search Brokers - Jeff Williams
Jeff Williams
Classic Properties
Payette, Idaho
Contact
Fill in the Form below to send a message to this broker
By submitting, you agree to our privacy policy and terms.
Land for Sale from Jeff Williams

Lots & Land-Other in Payette
$209,900
0 Acres
Payette, Idaho, 83661
This 2.97 acre parcel is offered by an Estate with a survey and a building permit available. The listing agent will assist the buyer and/or their agent with finalizing access with Payette County. The 2025 property tax amount is estimated based on other 3 acre parcels selling in Payette County during the last 6 months.

Lots & Land-Other in Payette
$68,500
0.2 Acres
Payette, Idaho, 83661
Are you looking for a location to build a new home that is not in a "cookie-cutter" subdivision where every house on the street looks like a knock-off of the neighbor's home 2 doors away? As this subdivision seems to have been created in the late 40s/early 50s; there does not appear to be any CC&Rs or architectural control committee that is going to tell you where to park, what colors to use or any of the other encumbrances that we all seem to dislike. Water and sewer are in the street and other utilities are in the vicinity of this lot. Bring your builder or let us know if you need one. Due to the topography of this lot you will need to verify with the building department what kind of retention walls and storm water runoff swales you will need to create for your dream home. Please keep in mind that the cost of the land is very low.

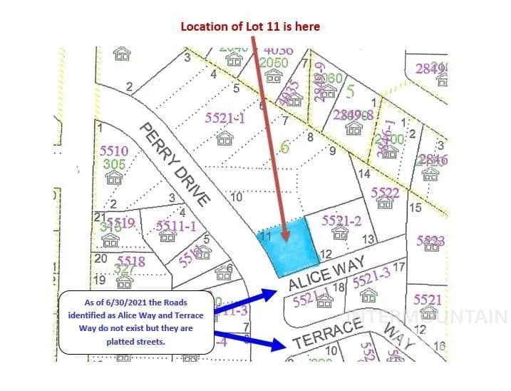
Lots & Land-Other in Payette
$59,000
0.17 Acres
Payette, Idaho, 83661
Are you looking for a location to build a new home that is not in a "cookie-cutter" subdivision where every house on the street looks like a knock-off of the neighbor's home 2 doors away? As this subdivision seems to have been created in the late 40s/early 50s; there does not appear to be any CC&Rs or architectural control committee that is going to tell you where to park, what colors to use or any of the other encumbrances that we all seem to dislike. Water and sewer are in the street and other utilities are in the vicinity of this lot. Bring your builder or let us know if you need one. Due to the topography of this lot you will need to verify with the building department what kind of retention walls and storm water runoff swales you will need to create for your dream home. Please keep in mind that the cost of the land is very low.

Lots & Land-Other in Payette
$485,000
0.8 Acres
Payette, Idaho, 83661
With a price reduction and a prime spot on US Highway 95 in Payette, this commercially zoned property boasts high visibility and convenience with water, sewer, power, and natural gas utilities nearby. The sellers has removed an old septic tank on the premises. However the casing for an irrigation well is still in existance. As the City of Payette typically requires city water and sewer connections for commercial establishments, it's anticipated that these services will be necessary for your new business site.