Search Land - Lots & Land-Other in Las Cruces
Lots & Land-Other in Las Cruces
$1,275,000|Last Updated: Apr 18, 2026
MLS#1051289
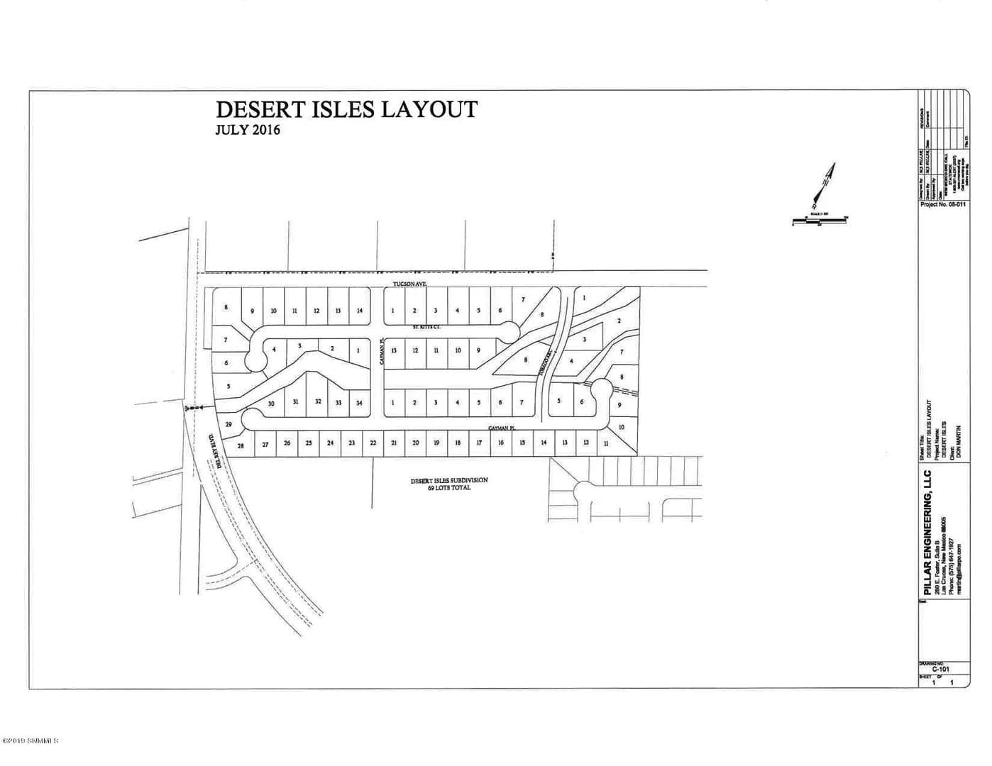
4750 Del Rey Boulevard, Las Cruces, Dona Ana County, New Mexico
Status:Active
Property Type
- Acreage
Acreage
50 acres
County
Dona Ana
Format
Sale
Description
SUBDIVISION DEVELOPMENT OPPORTUNITY! Location, location, location - convenient and central to both commercial services and residential subdivisions! This raw land parcel is chock full of potential and has flexibility within the many scenarios of opportunity it provides! It was once a previously-approved residential subdivision named Desert Isles, consisting of 69 lots, approximately 1/3-acre in size. Potential development as a townhouse subdivision utilizing 145 lots has also been discussed. Drive by and take a tour at the corner of Del Rey Blvd and Tucson Avenue (on East side of Del Rey).
Listing Agent

Michelle Martin
Better Homes and Gardens Real Estate Steinborn & Associates
By submitting, you agree to our privacy policy and terms.

Want to learn more about our financing options?
Enter your email below to receive free resources and information.
By submitting, you agree to our privacy policy and terms.









































