Search Land - Lots & Land-Other in Bolton
Lots & Land-Other in Bolton
$1,495,000|Listed: Mar 4, 2024
MLS#1185750
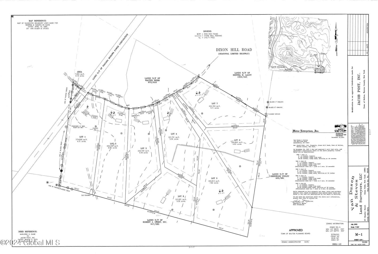
L1-8 Dickinson Hill Road, Bolton, Warren County, New York
Status:Active
Property Type
- Acreage
Acreage
46.55 acres
County
Warren, New York
Format
Sale
Description
Prime Real Estate Opportunity in Bolton: 46.55 Acre, Eight Lot Subdivision. Welcome to your chance to own a prestigious piece of Bolton's serene landscape. This 46.55 -acre property boasts an eight-lot subdivision, complete with nearby electricity, APA approvals, Bolton Town Board and Zoning Board approvals, existing perc tests as well as a civil engineer drawn lot survey. The lots are close to the Village of Bolton Landing and the Village of Lake George. Each of the eight flat and buildable lots offer road frontage and are situated on a maintained country road. The lots are enveloped in privacy, tranquility and the natural beauty of the wooded surroundings creating an idyllic retreat for homeowners.
Listing Agent

Shannon Andersen
Co-Op Member Owner
HUNT Real Estate ERA
Glens Falls, New York
By submitting, you agree to our privacy policy and terms.

Want to learn more about our financing options?
Enter your email below to receive free resources and information.
By submitting, you agree to our privacy policy and terms.

More land for sale from this broker
View All
$200,000|Listed: Aug 19, 2025
5.09 Acres
Bolton Landing, New York, 12824

























