Search Land - Lots & Land-Other in Bolton
Lots & Land-Other in Bolton
$747,500|Last Updated: Apr 25, 2026
MLS#1230623
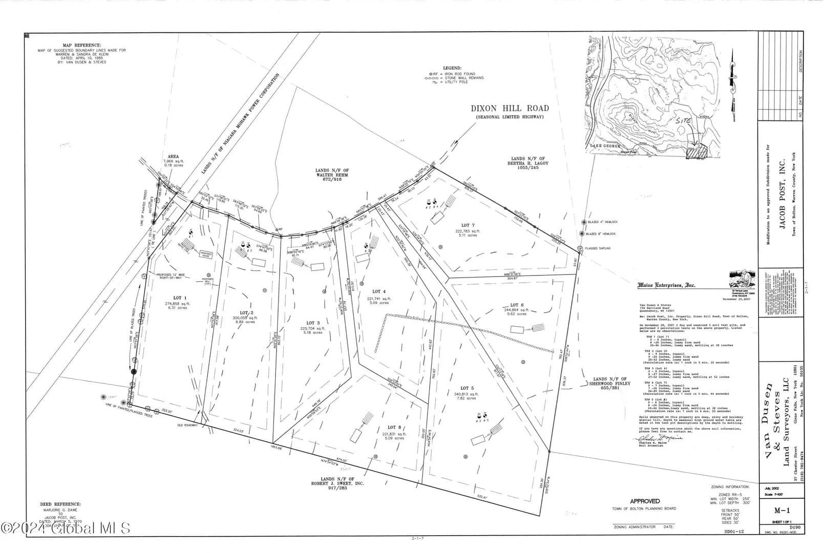
352 Dickinson Hill Road, Bolton, Warren County, New York
Status:Active
Property Type
- Acreage
Acreage
23.37 acres
County
Warren
Format
Sale
Description
Exceptional 23.37-Acre Parcel with Breathtaking Mountain Views - in Bolton, NY Welcome to your opportunity to own a prestigious slice of Bolton's peaceful and scenic countryside. This expansive 23.37-acre property, made up of four individually approved lots, offers sweeping mountain views and a truly unique development or investment opportunity. With APA, Bolton Town Board, and Zoning Board approvals already in place, the groundwork has been laid for your vision. The property includes existing perc tests, a civil engineer-drawn lot survey, and cleared building sites, electric at the road—all ready for the next step. The lots are ideally located just minutes from both the charming Village of Bolton Landing and the iconic Village of Lake George
Listing Agent

Shannon Andersen
HUNT Real Estate ERA
Glens Falls, New York
By submitting, you agree to our privacy policy and terms.

Want to learn more about our financing options?
Enter your email below to receive free resources and information.
By submitting, you agree to our privacy policy and terms.

More land for sale from this broker
View All
$200,000|Listed: Aug 19, 2025
5.09 Acres
Bolton Landing, New York, 12824


























