Search Land - Macon County 30 Tract 2
Macon County 30 Tract 2
$424,050|Listed: Feb 13, 2026
MLS#127268090
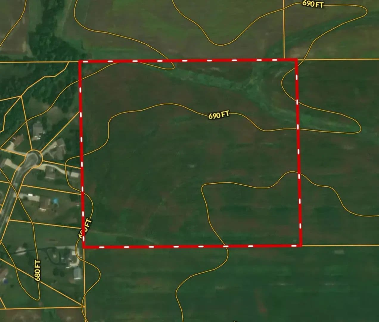
Ridgley Rd, Dalton City, Macon County, Illinois
Status:Active
Property Type
- Farm
Acreage
30.84 acres
County
Macon
Format
Sale
Description
This exceptional offering features 30.84± prime tillable acres comprised predominantly of highly productive Drummer-Milford Association and Flanagan Silt Loam soils, carrying an impressive average Productivity Index (PI) of 137.7.
Drummer-Milford soils are well known throughout central Illinois for their deep, dark, organic-rich profiles and excellent water-holding capacity. These soils are considered among the most productive in the region and routinely support strong yields. Under typical management practices, buyers can expect long-term average yields.
Flanagan silt loam is another premier prairie soil type, characterized by its deep root zone, favorable structure, and consistent fertility.
With an overall 137.7 PI, this tract reflects high-quality Class A farmland capable of delivering consistent production and long-term investment stability.
Additionally, this property will be offered alongside a contiguous, equal-sized tract to the east, also priced at $424,050 presenting a rare opportunity to secure a larger, highly productive block of farmland in one acquisition.
For more information, contact Land Specialist, Jimmy Rade, at 217-310-2088 .
Listing Agent

Jimmy Rade
Mossy Oak Properties Illinois Land & Lifestyle
By submitting, you agree to our privacy policy and terms.

Want to learn more about our financing options?
Enter your email below to receive free resources and information.
By submitting, you agree to our privacy policy and terms.













