Search Land - Property from TBD FM 322 - KW
Property from TBD FM 322 - KW
$170,000|Listed: Nov 19, 2025
MLS#119622187
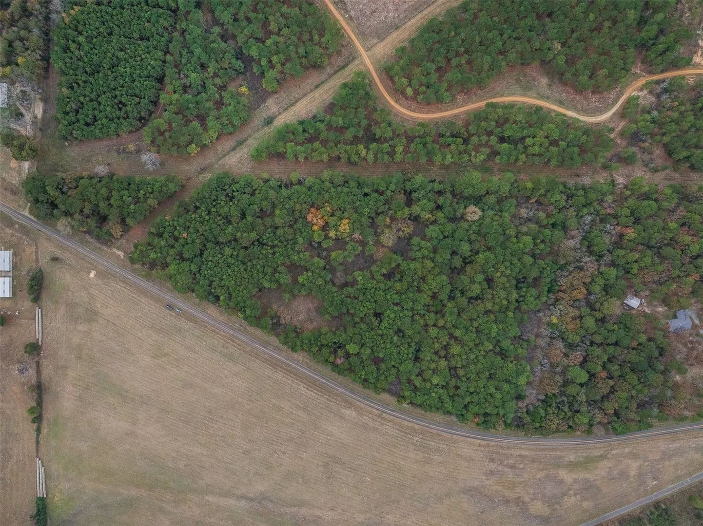
TBD FM 322, Elkhart, Anderson County, Texas
Status:Active
Property Type
- Recreational Land
Acreage
18.9 acres
County
Anderson, Texas
Format
Sale
Description
18.9 partially fenced and gated acres in Elkhart, Texas, offering a versatile, mostly wooded tract ideal for homesteading, or hunting. This property features mature native trees throughout, providing excellent shade, privacy, and natural habitat for wildlife. The land is partially fenced, making it suitable for livestock or recreational use. Located on a paved farm to market road, the property offers convenient access while maintaining a peaceful, rural atmosphere. With its dense timber, natural cover, and multiple potential homesite locations, this acreage is perfect for those seeking a secluded homestead, weekend retreat, or multi-use rural getaway. Must see to appreciate - call to schedule your tour today!
Listing Agent

Angela Kennedy
Co-Op Member Owner
Keller Williams Realty Brazos Valley office
By submitting, you agree to our privacy policy and terms.

Want to learn more about our financing options?
Enter your email below to receive free resources and information.
By submitting, you agree to our privacy policy and terms.






















