Search Land - Land -Agricultural (Not Zoned) in Burlington
Land -Agricultural (Not Zoned) in Burlington
$92,000|Listed: Jun 19, 2025
MLS#547662619
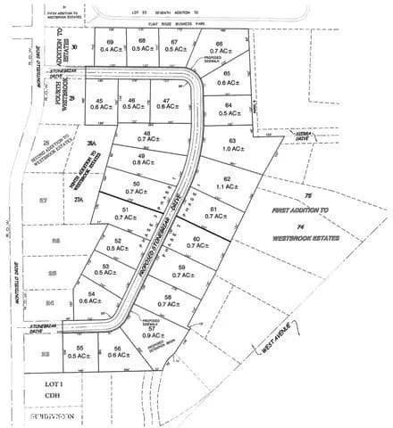
Lot 68 Stonebriar Dr., Burlington, Iowa
Status:Active
Property Type
- Farm
Acreage
0.5 acres
County
, Iowa
Format
Sale
Description
Welcome to the next addition to Westbrook Estates! Conveniently located in close proximity to schools, shopping, and the hospital while also maintaining a quiet, country-like setting. Stonebriar Drive is currently under development with two phases taking place. Phase 1 will include 15 generous lots available ranging from 0.4 acres to 1.1 acres M/L. Access will be off Monticello connecting you to the existing subdivision with a playground, pickleball/basketball court, and walking/biking path of the RecPlex! Whether you're a builder seeking your next project or a homeowner looking for the perfect place to build, this property offers a rare combination of flexibility, space, and potential. Take advantage of this rare opportunity to invest in a growing area and help shape a vibrant new neighborhood. Utilities and infrastructure details available upon request. Don’t miss your chance to be part of this exciting development!
Listing Agent

Jon Salvador
Co-Op Member Owner
CENTURY 21 Property Professionals
By submitting, you agree to our privacy policy and terms.

Want to learn more about our financing options?
Enter your email below to receive free resources and information.
By submitting, you agree to our privacy policy and terms.

More land for sale from this broker
View All
$109,000|Listed: Jun 19, 2025
0.7 Acres
Burlington, Iowa, 52601

$95,000|Listed: Jun 19, 2025
0.6 Acres
Burlington, Iowa, 52601
























