Search Land - Vacant Land in Lake Helen
Vacant Land in Lake Helen
$149,900|Listed: May 8, 2025
MLS#678393778
Vista Street, Lake Helen, Volusia County, Florida
Status:Active
Property Type
- Acreage
Acreage
0.53 acres
County
Volusia
Format
Sale
Description
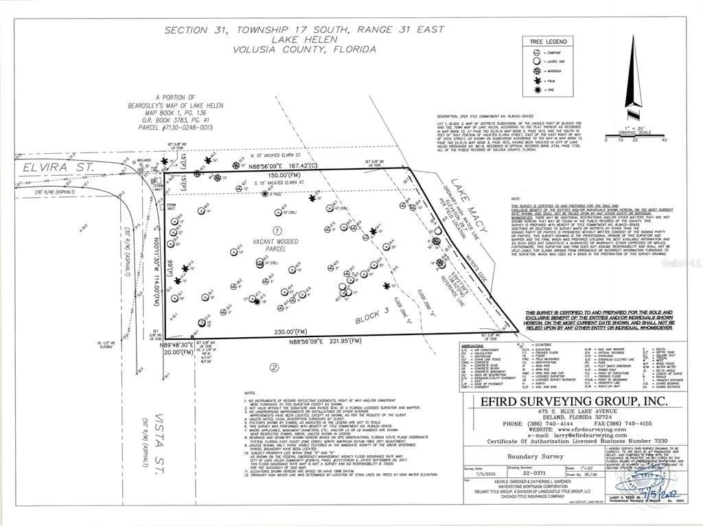
Owners are reducing the price by $10,000 for a quick sale! NEW SURVEY reveals that a larger house than previously thought can be built on this lakefront homesite (see attached). If you can find a better lake lot you should buy it! If not the owner of this lot is motivated to sell and willing to provide some owner financing ! Lovely half acre lakefront lot on Lake Macy, a lightly developed lake with only one home visible off in the distance from your private back yard. Very eclectic laid-back rural neighborhood in the quaint and charming community of Lake Helen, tucked away with very little traffic. The building site would be located high above the lake with a gentle slope to the water's edge! So it's perfect for a walk out first floor. The State of Florida provides control and monitoring of water quality, for long term protection of this idyllic environment. Come explore the walkable lot and imagine your dream home for an exciting, but quiet life on the lake with easy access to I-4, attractions, beaches and shopping. Only minutes from I-4, New Smyrna Beach, and the shoppes and restaurants of historic downtown Deland. *** Owner will consider financing with substantial down payment.***
Listing Agent
Michael Palombi
615-Coldwell Banker Realty - Florida
Lake Mary, Florida
By submitting, you agree to our privacy policy and terms.

Want to learn more about our financing options?
Enter your email below to receive free resources and information.
By submitting, you agree to our privacy policy and terms.



























