Search Land - 2.210 acres Corner Lot in Chehalis
2.210 acres Corner Lot in Chehalis
$615,000|Listed: Jun 13, 2025
MLS#1262991
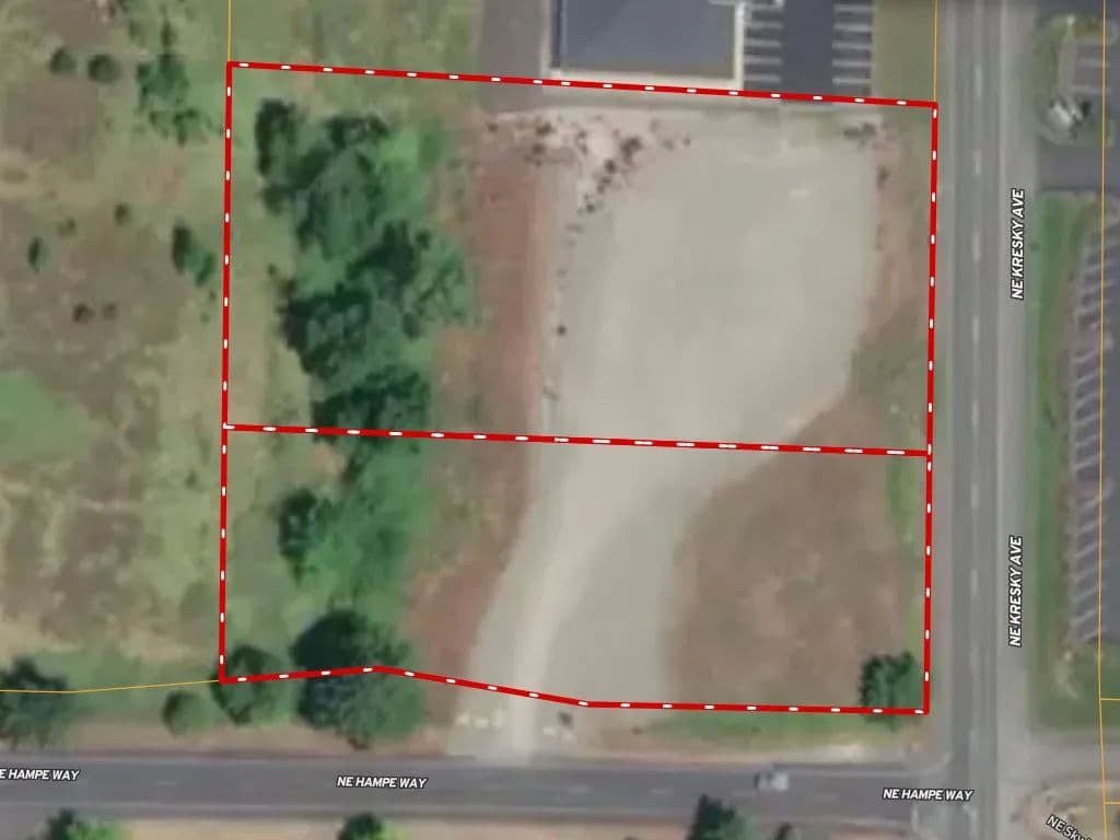
2520 NE Kresky Ave, Chehalis, Lewis County, Washington
Status:Active
Property Type
- Acreage
Acreage
2.21 acres
County
Lewis, Washington
Format
Sale
Description
CHEHALIS - 2.210 ACRES: Two parcels located on Twin Cities Miracle Mile. Quick access to I-5. Great corner lot in recently developed commercial district for your new commercial build. Centrally located between Portland & Seattle. Shopping, dining, and entertainment within minutes in nearby Centralia & Chehalis. Recreational opportunities abound. Property puts you in center of it all. Property is 96,268 sf and level. Zoned CG (General Commercial). Chehalis school district. Power, water, sewer, and gas in street. Buy and build or hold for future investment/development. Wetland, geotechnical, survey, and drainage studies complete. City approved engineering. Buyer to confirm feasibility for their building project. Will consider owner financing.
Listing Agent

John Love
Co-Op Member Owner
Keller Williams Mountains to Sound Realty
Kent, Washington
By submitting, you agree to our privacy policy and terms.
Want to learn more about our financing options?
Enter your email below to receive free resources and information.
By submitting, you agree to our privacy policy and terms.






































































