Search Land - 19 Acres in Ouachita County, AR
19 Acres in Ouachita County, AR
$100,000|Listed: Feb 3, 2026
MLS#252565050
Harris Road, Camden, Ouachita County, Arkansas
Status:Active
Property Type
- Acreage
- Timberland
Acreage
19 acres
County
Ouachita
Format
Sale
Features
- Electricity
- Hwy-County Rd Frontage
- Timber
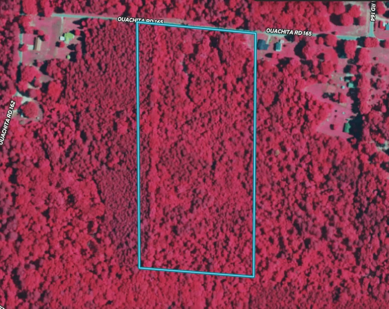
Description
WELCOME TO THE OUACHITA 19 LOCATED ON HARRIS ROAD IN CAMDEN, ARKANSAS. Featuring 19± acres of mixed timber, this Ouachita County property provides both immediate and future investment potential. With ample road frontage and easy access, the land is convenient while still offering a peaceful, secluded setting. Enjoy the peace and quiet of the outdoors while still having convenient access. Just minutes from Camden, the Ouachita 19 could go from a timber investment to an amazing home place or future development.
Listing Agent

SMALLTOWN Hunting Properties and Real Estate
Co-Op Member Owner
SmallTown Hunting Properties & Real Estate, LLC
Flora
By submitting, you agree to our privacy policy and terms.

Want to learn more about our financing options?
Enter your email below to receive free resources and information.
By submitting, you agree to our privacy policy and terms.

More land for sale from this broker
View AllPremier Listing
$233,000|Listed: Apr 6, 2023
5.17 Acres
Crystal Springs, Mississippi, 39059

Premier Listing
$25,000|Listed: Jul 26, 2023
0.6 Acres
Clarksdale, Mississippi, 38614

Premier Listing
$200,000|Listed: Aug 8, 2023
13.32 Acres
Cleveland, Mississippi, 389732


























