Search Land - Property from xxx US-90 - KW
Property from xxx US-90 - KW
$1,566,000|Last Updated: May 7, 2026
MLS#134756987
xxx US-90, Defuniak Springs, Walton County, Florida
Status:Active
Property Type
- Recreational Land
Acreage
59.73 acres
County
Walton
Format
Sale
Features
- Electricity
Description
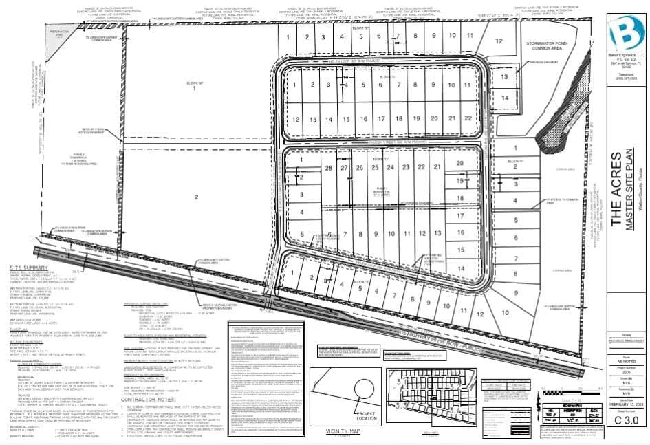
DEVELOPMENT ORDER IN HAND. This is an opportunity to purchase all 87 lots as paper lots. Option for purchasing all 87 finished / pad ready lots, see MLS 984869. There are 2 other options to purchase finished lots: 1 to 9 lots @ $72,500 per lot or in increments of 10 at $68K per lot. The proposed new development is 5 minutes west of DeFuniak Springs on Hwy 90, consisting of 87 detached single family residential homes on approx. 59.73 acres. Septic will be used / permitted for each lot. Public water. The development will have 2 driveway connections to Hwy 90. Zoned Rural Village, Flood Zone X. According to wetland study on the total 64.61 acres (study done before commercial property split), .35 acres is wetland, located on the eastern boundary of the lot.
Listing Agent

Tina Marsh
KELLER WILLIAMS REALTY EMERALD COAST WEST BRANCH
By submitting, you agree to our privacy policy and terms.

Want to learn more about our financing options?
Enter your email below to receive free resources and information.
By submitting, you agree to our privacy policy and terms.

More land for sale from this broker
View All
Premier Listing
$15,000|Listed: Nov 7, 2025
1.17 Acres
Marianna, Florida, 32448

Premier Listing
$11,900|Listed: Sep 7, 2025
0.44 Acres
Chipley, Florida, 32428















