Search Land - Property from 10951 E HIGHWAY 40 - KW
Property from 10951 E HIGHWAY 40 - KW
$499,900|Listed: Jun 25, 2025
MLS#192462372
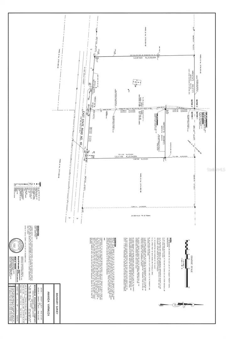
10951 E HIGHWAY 40, Silver Springs, Marion County, Florida
Status:Active
Property Type
- Recreational Land
Acreage
8.4 acres
County
Marion
Format
Sale
Description
Prime vacant land in rapidly growing Silver Springs in Marion County Hwy 40 is slated to become a 4 lane road as per FDOT in the coming years. Project is slated but start date . Currently zoned as 4.82 acres of B4 Heavy commercial and 3.58 Acres of A1
Listing Agent

Barrett Spray
KELLER WILLIAMS ADVANTAGE REALTY
By submitting, you agree to our privacy policy and terms.

Want to learn more about our financing options?
Enter your email below to receive free resources and information.
By submitting, you agree to our privacy policy and terms.

More land for sale from this broker
View All
Premier Listing
$4,250,000|Listed: Sep 19, 2025
5 Acres
Kissimmee, Florida, 34744

Premier Listing
$5,000,000|Listed: Oct 13, 2025
10.75 Acres
Minneola, Florida, 34715

Premier Listing
$5,000,000|Listed: Oct 20, 2025
5 Acres
Kissimmee, Florida, 34744



















