Search Land - Vacant Land in Sandy
Vacant Land in Sandy
$600,000|Listed: Mar 10, 2025
MLS#326058530
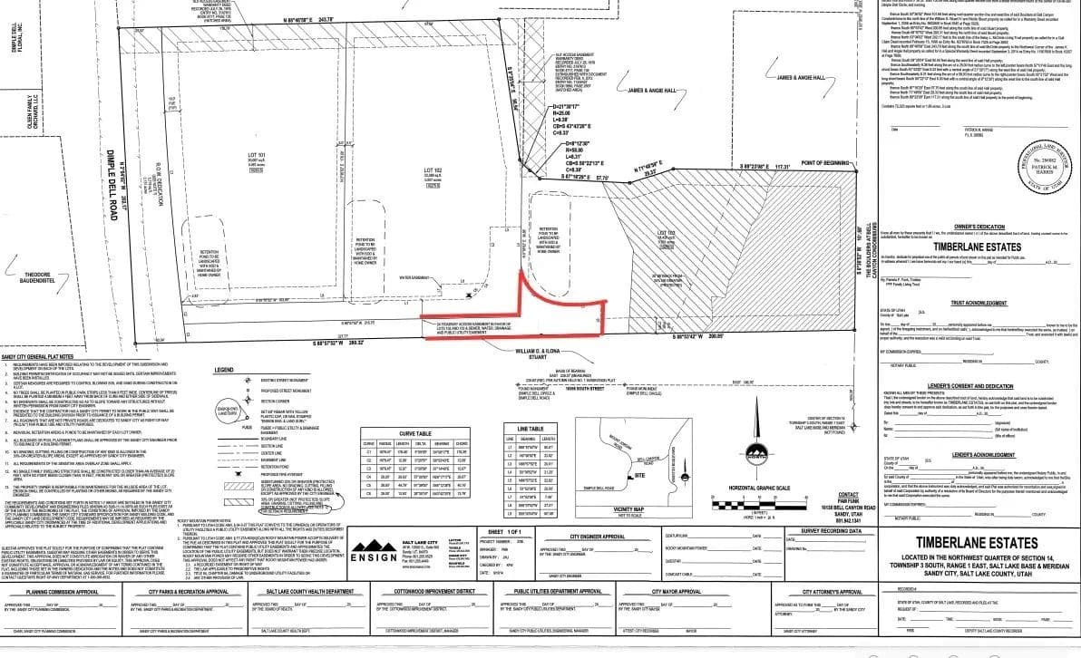
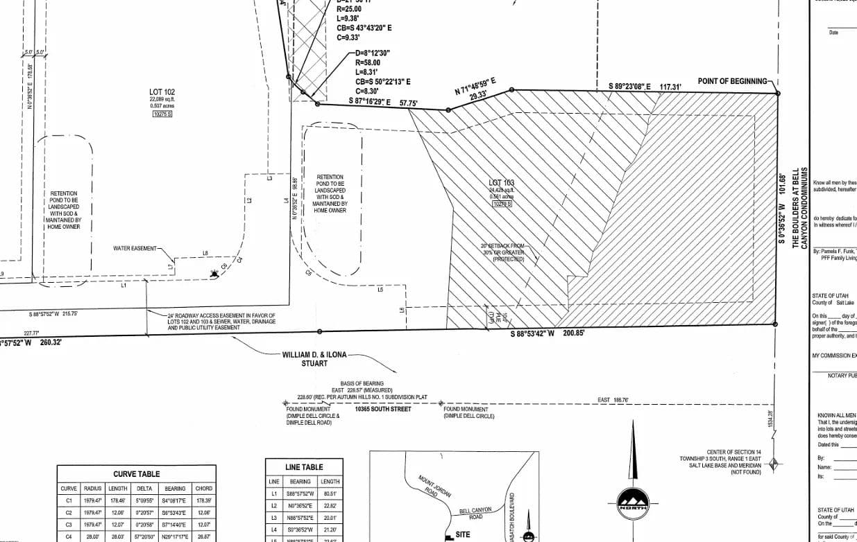
10279 S Dimple Dell Rd Unit 103, Sandy, Salt Lake County, Utah
Status:Active
Property Type
- Acreage
Acreage
0.56 acres
County
Salt Lake, Utah
Format
Sale
Description
*Rare Find* Stunning Views of Wasatch Mountains in Quiet Neighborhood *Within Walking Distance to Biking/Hiking Trails, and Parks *Only Minutes Away From Shopping, Snowbird & Alta Ski Resorts, Lakes for Fishing, Water Sports, Park City, and International Airport *Includes 3 Shares of Secondary Water With 1-Inch Connection *All Utilities are Available for Connection *Zoned for 2 Horses *Please See Attached Plat Map *Buyer To Verify All Information* The sewer line runs along the paved access road. It is on drawing C-2 of the set plat. The depth varies with the slope of the road, but is very deep (appx. 8 feet) and is on the West side of the paved section of Dimple Dell Road. Developer had to dig across the road to connect there. The man hole is on that west side of Dimple Dell Road* Gas,Electricity,Cable Tv located in Dimple Dell Rd stubbed to lot line *Info from previous Owner/Developer* Private road maintained by all 3 lot owners per CCR'S* Buyer To Verify All Information*Roy Thacker from Sandy City inspected the sewer line as it tied into the main line under Dimple Dell Road. Roy Thacker and Dave Marble are available by phone 801-568-7280 for more information. This had to be inspected before Sandy City would allow Developer to re- pave the trench in Dimple Dell Road. The understanding is that no piping for sewer or water is 'old' or 'existing'. It all had to be new pipe.They think it is PVC as per code as spelled out on page C-2 of the drawings. The drawing C-2 shows the tie in for culinary water is to Dimple Dell Road. The culinary line then runs under the paved road to service each lot. *Buyer to verify all information*
Listing Agent
Shelly Tripp
Co-Op Member Owner
623-Coldwell Banker Realty - Utah
Draper, Utah
By submitting, you agree to our privacy policy and terms.

Want to learn more about our financing options?
Enter your email below to receive free resources and information.
By submitting, you agree to our privacy policy and terms.














