Search Land - Lots & Land-Other in Panguitch
Lots & Land-Other in Panguitch
$275,000|Last Updated: Apr 18, 2026
MLS#519919604
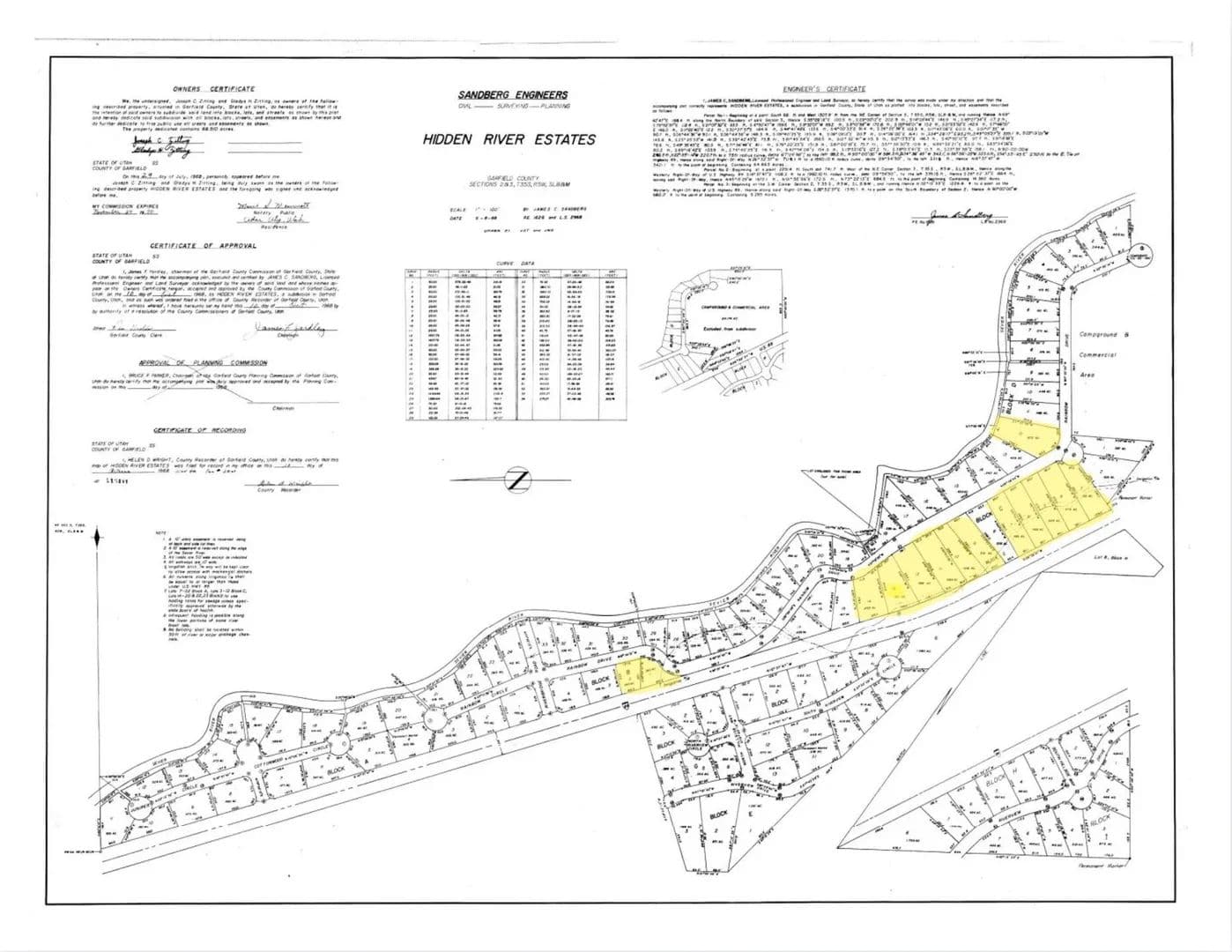
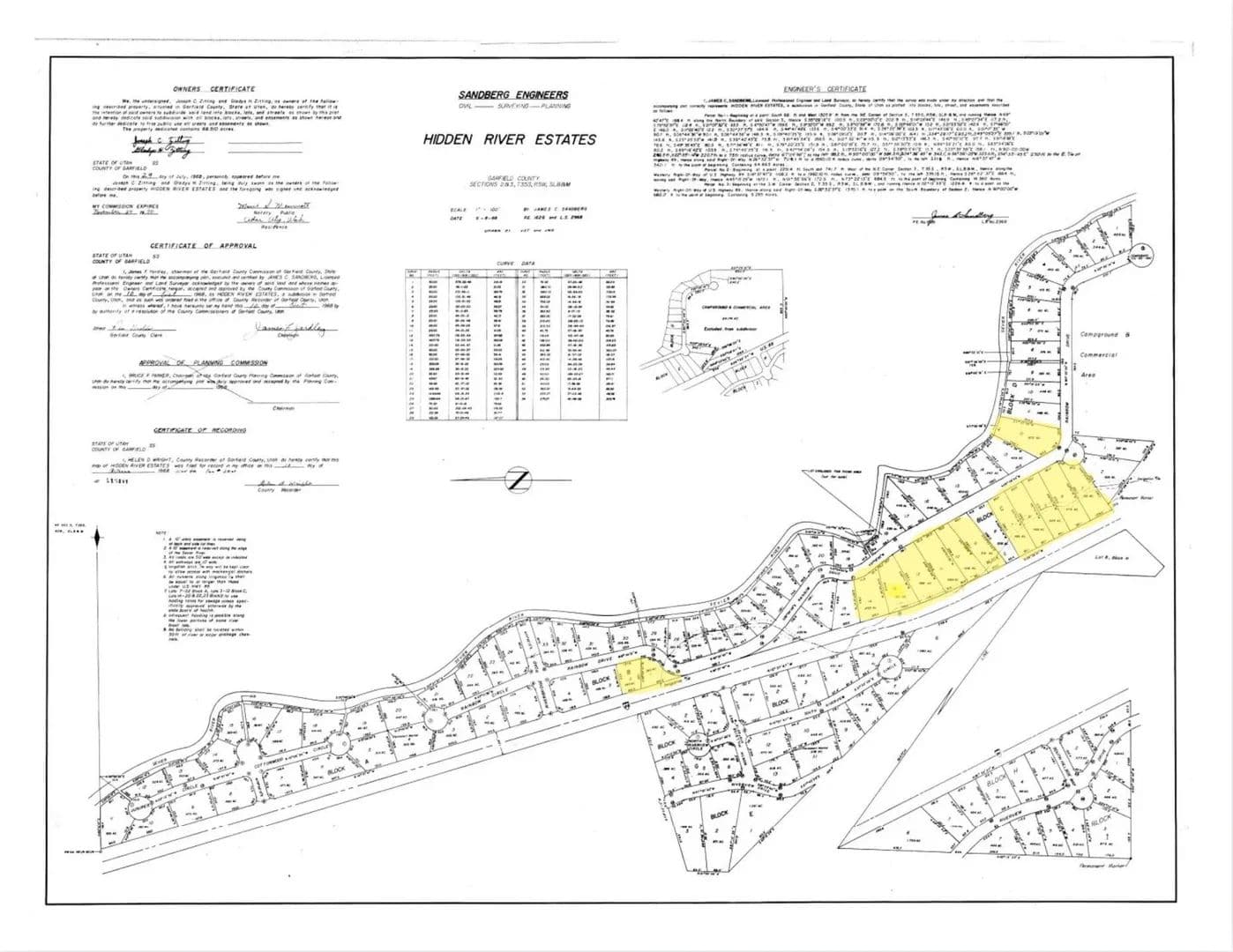
1460 S Rainbow Drive (14 LOTS), Panguitch, Garfield County, Utah
Status:Active
Property Type
- Acreage
Acreage
7.13 acres
County
Garfield
Format
Sale
Description
This 7.13-acre property includes 14 individual lots, all being sold together. Located in Hidden River Estates, a picturesque subdivision along the Sevier River, this property offers stunning natural surroundings. Owners can access the river through designated community common areas. Just three miles south of Panguitch, Utah, Hidden River Estates is conveniently situated off Highway 89, providing easy access to the region's breathtaking landscapes. With Bryce Canyon National Park just a short drive away, this is the perfect opportunity for those seeking both tranquility and outdoor adventure.
Listing Agent
Mari Eddy
ERA Realty Center
Cedar City, Utah
By submitting, you agree to our privacy policy and terms.

Want to learn more about our financing options?
Enter your email below to receive free resources and information.
By submitting, you agree to our privacy policy and terms.

















































