Search Land - Property from 0 Roundtree Lane - KW
Property from 0 Roundtree Lane - KW
$50,000|Listed: Jun 13, 2025
MLS#537225762
0 Roundtree Lane, Squaw Valley, Fresno County, California
Status:Active
Property Type
- Recreational Land
Acreage
9.92 acres
County
Fresno, California
Format
Sale
Description
Two Parcels • Two Building Pads • Rolling Hillside with View Potential – Sold Together
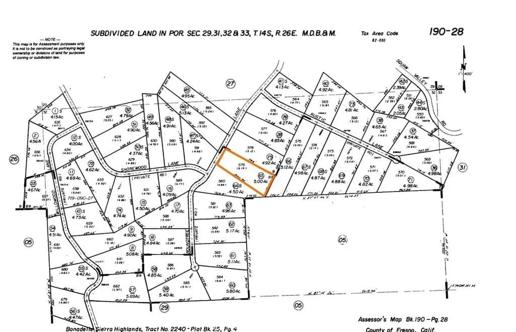
APNs 190-280-65 & 190-280-75
Opportunity awaits with two adjoining parcels sold together in the scenic foothills of Squaw Valley (Yokuts Valley). APNs 190-280-65 and 190-280-75 offer a flexible land configuration featuring two existing building pads and a gentle rolling hillside, ideal for optimizing views, privacy, and creative site planning.
The natural topography allows for elevated build placement and thoughtful design, making the property well-suited for a primary residence, guest home, or multi-use layout. Open space, usable land, and a quiet rural setting create a peaceful backdrop for a variety of lifestyle or investment goals.
The property includes existing utility easements, typical of rural foothill properties, which have been taken into consideration in the pricing and allow for clear planning and transparency for future development. Many buyers appreciate knowing these details upfront when evaluating long-term potential.
Conveniently located within driving distance to Fresno and near Kings Canyon and Sequoia National Parks, this offering combines foothill living with access to everyday amenities and outdoor recreation.
? Two parcels sold together (APNs 190-280-65 & 190-280-75)
? Two existing building pads
? Gentle rolling hillside with view potential
? Usable acreage with flexible design options
? Priced with known easements in mind
Whether you’re looking to build, invest, or secure foothill acreage with elevation and views, this combined parcel offering presents a value-driven opportunity in an established rural area.
Listing Agent

Adela Randazzo
Co-Op Member Owner
Keller Williams Realty
By submitting, you agree to our privacy policy and terms.
Co-op Approved Lender
Want to learn more about our financing options?
Enter your email below to receive free resources and information.
By submitting, you agree to our privacy policy and terms.

More land for sale from this broker
View All
Premier Listing
$25,000|Listed: Jun 13, 2025
5 Acres
Squaw Valley, California, 93675


