Search Land - Property from 435 S Skyline St - KW
Property from 435 S Skyline St - KW
$498,000|Listed: Dec 17, 2025
MLS#731955441
435 S Skyline St, Tekoa, Whitman County, Washington
Status:Active
Property Type
- Recreational Land
Acreage
6.34 acres
County
Whitman, Washington
Format
Sale
Description
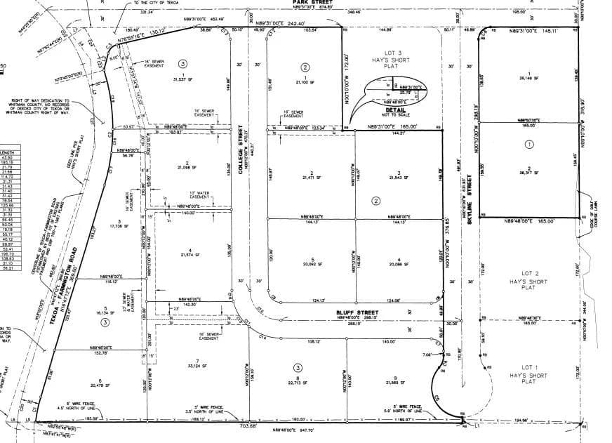
Golf Course Subdivision – Rare Large Lots in Hay’s Subdivision, Tekoa WA! Now offering 12 generously sized lots in Hay’s Subdivision—with easment access to Tekoa Golf Course and only 2 miles to Willard Airport. Parcels views and amenities vary by lot. Sold as individual lots or all together. Some lots include paved road access and city water/sewer, see plat map. Block 3 lot 1 includes foundation and house building plans. Light CCR’s and No HOA fees. Recorded plat map & survey pins. Enjoy the perfect blend of recreation and relaxation with a quick golf cart ride to the course and access to ATV trails just 15 minutes away. Located in the charming town of Tekoa, you'll find all the essentials: grocery store, schools, restaurants, library, pharmacy, hardware store, parks, pool, bank, theater, golf course, coffee shops, Palouse to Cascade Trailhead / Trestle, and more. Embrace the charm of small-town living while still enjoying modern conveniences.
Listing Agent

Joni Hay
Co-Op Member Owner
Keller Williams Spokane - Main
By submitting, you agree to our privacy policy and terms.

Want to learn more about our financing options?
Enter your email below to receive free resources and information.
By submitting, you agree to our privacy policy and terms.

More land for sale from this broker
View All
Premier Listing
$183,350|Listed: Dec 9, 2025
24 Acres
Spangle, Washington, 99031

Premier Listing
$209,000|Listed: Nov 18, 2025
5.72 Acres
Loon Lake, Washington, 99148

Premier Listing
$209,000|Listed: Sep 30, 2025
5.72 Acres
Loon Lake, Washington, 99148

































