Search Land - Property from Parcel A 112th Street SW - KW
Property from Parcel A 112th Street SW - KW
$160,000|Last Updated: May 7, 2026
MLS#759079739
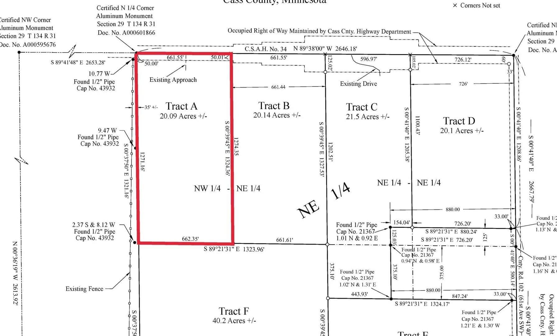
Parcel A 112th Street SW, Motley, Cass County, Minnesota
Status:Active
Property Type
- Recreational Land
Acreage
20 acres
County
Cass
Format
Sale
Description
Introducing 20 acres of picturesque, rolling land just 4 miles north of Motley, MN. With its westerly exposure, this property is ideal for building your new home. It offers a perfect blend of 16 acres of open, rolling meadows and 4 wooded acres. The open land is lush and suitable for agricultural use, grazing, or creating your dream retreat. Meanwhile, the wooded area provides privacy, recreational opportunities, and abundant wildlife. Access to the property is easy, with blacktop roads leading to the northeast corner. The diverse features of this land offer endless possibilities. Check the aerial imagery for a detailed view of the location and topography. Don’t miss this incredible opportunity to own a stunning slice of Minnesota’s countryside!
Listing Agent

Bruce Larson
Larson Group Real Estate/Kelle
By submitting, you agree to our privacy policy and terms.
Co-op Approved Lender
Want to learn more about our financing options?
Enter your email below to receive free resources and information.
By submitting, you agree to our privacy policy and terms.

More land for sale from this broker
View All
$240,000|Listed: Jun 6, 2025
40 Acres
Pequot Lakes, Minnesota, 56472

$68,500|Listed: Apr 21, 2026
1.2 Acres
Merrifield, Minnesota, 56465

$68,500|Listed: Apr 20, 2026
1.2 Acres
Merrifield, Minnesota, 56465

$60,000|Listed: Nov 20, 2024
0.07 Acres
Merrifield, Minnesota, 56465











