Search Land - Property from 4994 Rockbridge Road - KW
Property from 4994 Rockbridge Road - KW
$3,300,000|Listed: Sep 25, 2025
MLS#774012656
4994 Rockbridge Road, Stone Mountain, Georgia
Status:Active
Property Type
- Recreational Land
Acreage
39.7 acres
Format
Sale
Description
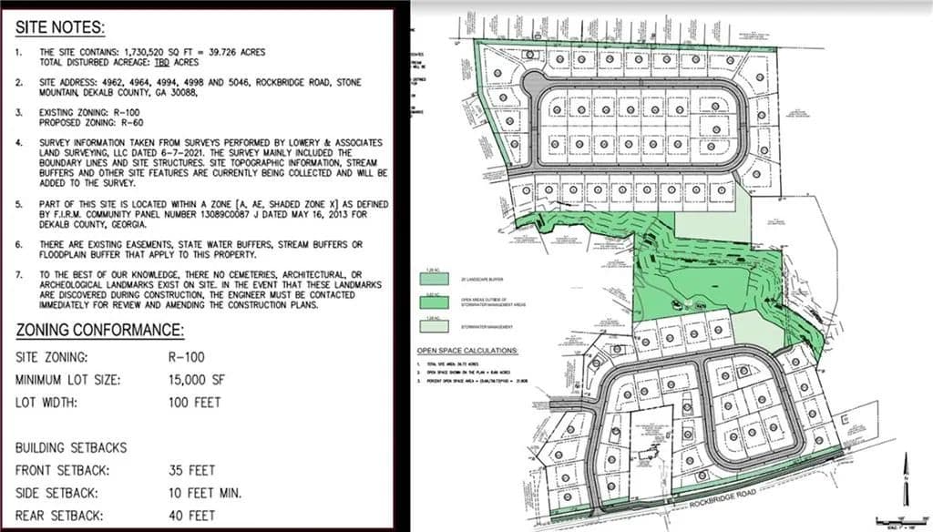
o +/- 39.7 Acres o DeKalb County o Zoned R-100 o 70 Single Family Lots o 100' Width Lots o +/- 900 ft Frontage on Rockbridge Rd o Assigned Schools: o Rockbridge EMS o Stone Mountain MS o Stone Mountain HS o 5 Miles to Exit 43 on I-285 o Located in an Opportunity Zone
Listing Agent

Jim Hobbs
Keller Williams Realty
By submitting, you agree to our privacy policy and terms.
Co-op approved lenders in null County, Georgia:

Find A Loan
Want to learn more about our financing options?
Enter your email below to receive free resources and information.
By submitting, you agree to our privacy policy and terms.

More land for sale from this broker
View All
Premier Listing
Property from 4994 Rockbridge Road - KW


$3,300,000|Listed: Sep 24, 2025
21.57 Acres
Stone Mountain, Georgia, 30088




