Search Land - Lots & Land-Other in Houston
Lots & Land-Other in Houston
$1,750,000|Listed: Feb 21, 2025
MLS#98921317
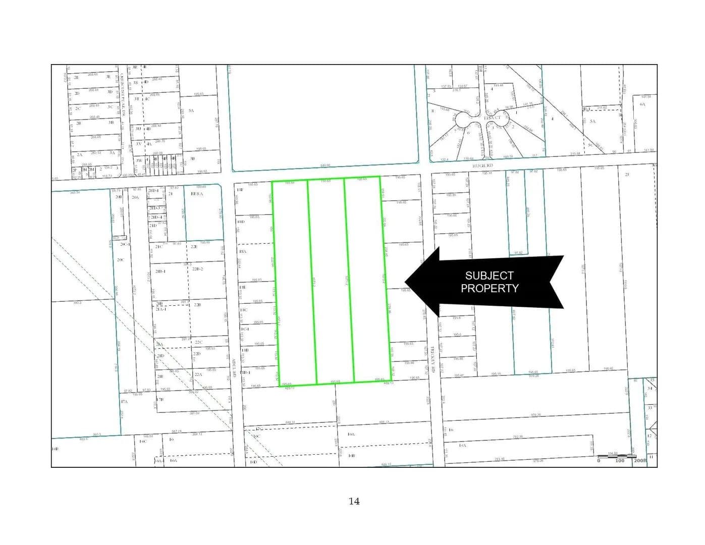
1505 Hugh Road, Houston, Harris County, Texas
Status:Active
Property Type
- Acreage
Acreage
14.46 acres
County
Harris
Format
Sale
Description
Lots for sale: Lt 19 Blk D Hahland Tax ID 068-059-004-0016, Lt 20 Blk D Hahland Tax ID 068-059-004-0017, PT Lt 21 Blk D Hahland Tax ID 068-059-004-0018, PT Lt 21 Blk D Hahland Tax ID 068-059-004-0019 Approximately 586 feet of frontage on Hugh Road.
Listing Agent
LYNETTE LEW
Gary Greene
Houston, Texas
By submitting, you agree to our privacy policy and terms.
Co-op Approved Lender
Want to learn more about our financing options?
Enter your email below to receive free resources and information.
By submitting, you agree to our privacy policy and terms.









