Search Land - Lots & Land-Other in New Bern
Lots & Land-Other in New Bern
$1,600,000|Last Updated: May 12, 2026
MLS#1133617
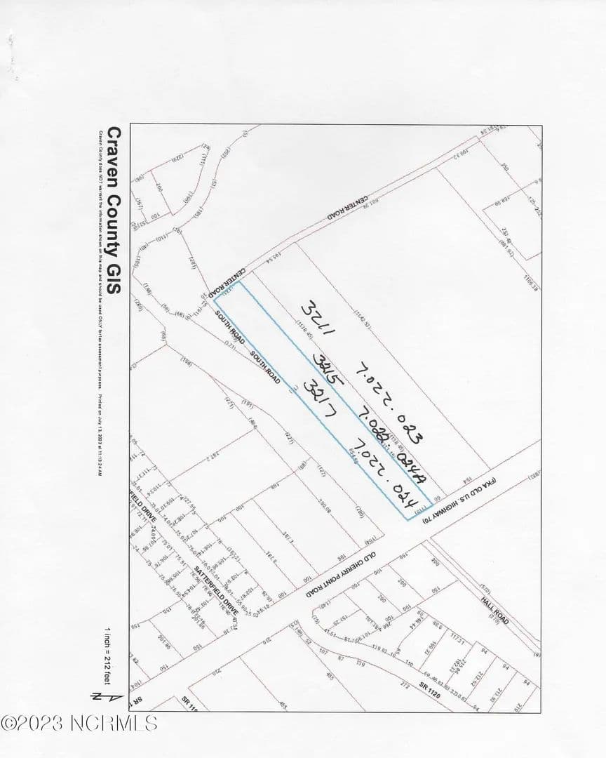
3215 Old Cherry Point Road, New Bern, Craven County, North Carolina
Status:Active
Property Type
- Acreage
Acreage
0 acres
County
Craven
Format
Sale
Description
9.547 ACRES IN THREE TRACTS , TAX ID:7-022-023, 7-022-024-A, 7-022-024 Road frontage of 369 ft. shown is on Old Cherry Point Rd; there will be approximately an additional 700 ft of road frontage that will be on Taberna Way once new extension is completed with 4 driveway access points. Taberna Way extension is off of the new US Hwy 70. Mobile home does not convey and will be removed. Existing acreage is not perfectly matched with tax card due to the .123 acres taken by DOT for Taberna Way Extension right of way.
Listing Agent
Tully Hofmann
Zaytoun-Raines
New Bern, North Carolina
By submitting, you agree to our privacy policy and terms.

Want to learn more about our financing options?
Enter your email below to receive free resources and information.
By submitting, you agree to our privacy policy and terms.









