Search Land - 80 Acres in Marshall County, MS
80 Acres in Marshall County, MS
$680,000|Listed: Mar 23, 2025
MLS#1258834
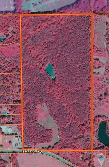
S Mt. Zion Road, Byhalia, Marshall County, Mississippi
Status:Active
Property Type
- Acreage
- Recreational Land
- Hunting Land
- Fishing Land
Acreage
80 acres
County
Marshall, Mississippi
Format
Sale
Features
- Creek
- Hunting
- Hwy-County Rd Frontage
- Development Potential
- Pond
- Fishing
Description
ARE YOU LOOKING FOR A PLACE TO BUILD YOUR DREAM HOME OR A RECREATIONAL GETAWAY? Look no further than the Marshall 80! This beautiful 80± acre property is situated less than 10 miles from Byhalia and within 20 miles of both Olive Branch and Holly Springs in Marshall County, MS. With the perfect location, this property offers unlimited possibilities!
One of the outstanding features is the perfectly positioned home site near the entrance of the property just off S. Mt. Zion Road. Having an established entrance and more than 400 feet of road frontage, this property sets up great. Just imagine walking out your back door and having all the hunting and fishing opportunities right in your backyard.
For the avid outdoorsman, the Marshall 80 offers deer, turkey, and small game hunting along with fishing in the centrally located 1± acre pond. While visiting the property, deer and turkey signs were noted throughout. Opossum Creek runs through a portion of the property and serves as a travel corridor for the trophy deer that call this area home. The southern and central portions of this tract are inhabited mainly by pines, while the northern portion has intermixed hardwoods. The gently rolling terrain makes this easily accessible and family friendly for any recreational activities.
Whether you’re looking to build your forever home or a weekend getaway close to town, this gem checks all the boxes. The peaceful and private setting, along with its recreational upside, makes the Marshall 80 worth considering!
Call today for your very own private showing!
Listing Agent

SMALLTOWN Hunting Properties and Real Estate
Co-Op Member Owner
SmallTown Hunting Properties & Real Estate, LLC
Flora
By submitting, you agree to our privacy policy and terms.
Want to learn more about our financing options?
Enter your email below to receive free resources and information.
By submitting, you agree to our privacy policy and terms.

More land for sale from this broker
View AllPremier Listing
$233,000|Listed: Apr 6, 2023
5.17 Acres
Crystal Springs, Mississippi, 39059

Premier Listing
$25,000|Listed: Jul 26, 2023
0.6 Acres
Clarksdale, Mississippi, 38614

Premier Listing
$200,000|Listed: Aug 8, 2023
13.32 Acres
Cleveland, Mississippi, 389732


























































