Land Pro AI Chat is Live (Beta)
Now available on every listing page. Test it out as we continue refining the tool.
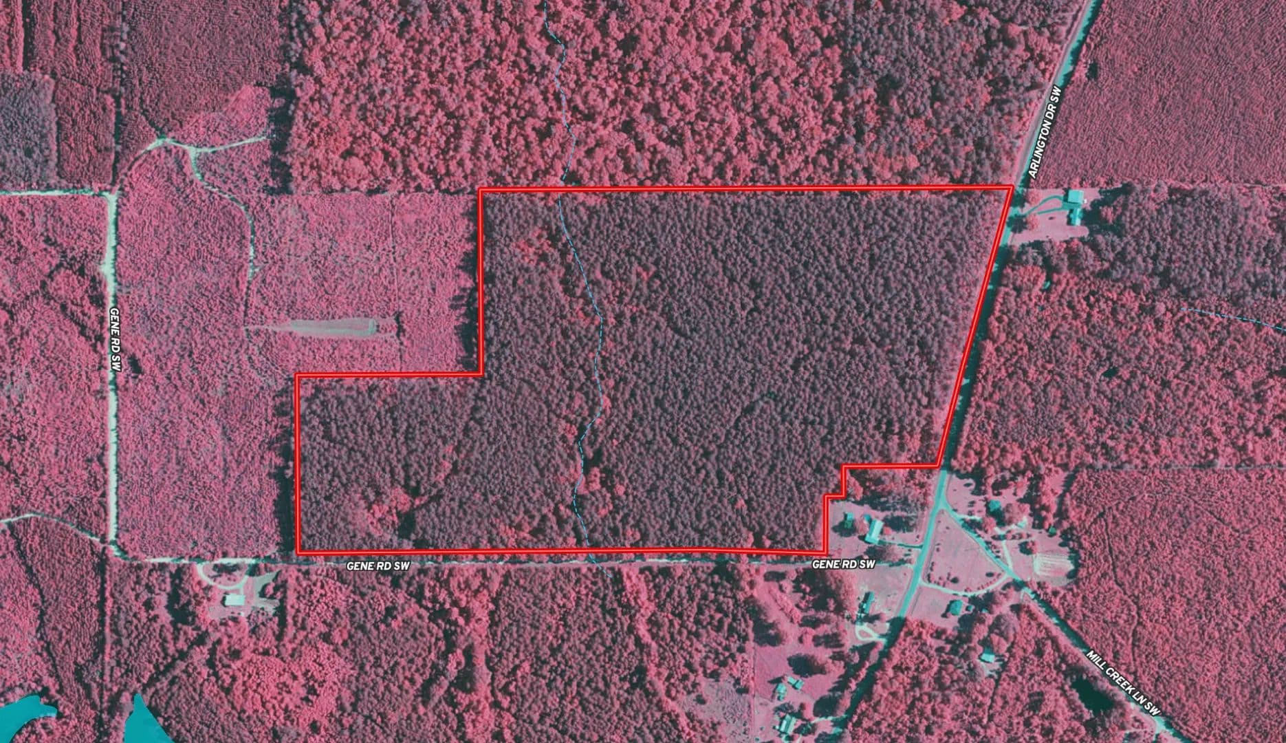
Search Land - 59 Acres in Lincoln County, MS
$354,000|Listed: Jan 26, 2026
MLS#411615345
Arlington Road, Bogue Chitto, Lincoln County, Mississippi
Status:Under Contract
59 acres
Lincoln
Sale
THE LINCOLN 59 OFFERS AN EXCEPTIONAL OPPORTUNITY TO CREATE YOUR FOREVER HOMEPLACE IN ONE OF THE MOST CONVENIENT AND DESIRABLE AREAS OF LINCOLN COUNTY, MISSISSIPPI. Located in the highly sought-after West Lincoln School District, this 59± acre property is a blank slate, ready to fit your vision!
Featuring pine timber planted in 2020 and paved frontage along Arlington Road, and additional gravel frontage on Gene Road, the tract offers multiple access points and excellent flexibility for future use or development. Enjoy a desirable balance of privacy and convenience, all while being just minutes from town and local schools.
In addition to its potential residential appeal, the Lincoln 59 also serves as an outstanding recreational and hunting property, with a strong history of trophy whitetail deer harvested on the land. The cover and location create an ideal habitat for wildlife. The young pine timber is still small enough to make the place your own by adding internal and external roads and shaping food plots to your liking.
Whether you’re looking to build your dream home, enjoy recreational hunting, or secure a long- term land investment, the Lincoln 59 is a strong choice!

Co-Op Member Owner
SmallTown Hunting Properties & Real Estate, LLC
Flora
By submitting, you agree to our privacy policy and terms.
Co-op Approved Lender
Enter your email below to receive free resources and information.
By submitting, you agree to our privacy policy and terms.

Premier Listing
$233,000|Listed: Apr 6, 2023
5.17 Acres
Crystal Springs, Mississippi, 39059

Premier Listing
$25,000|Listed: Jul 26, 2023
0.6 Acres
Clarksdale, Mississippi, 38614

Premier Listing
$200,000|Listed: Aug 8, 2023
13.32 Acres
Cleveland, Mississippi, 389732