Search Land - Vacant Land (0-10 Acres) in Monroe
Vacant Land (0-10 Acres) in Monroe
$450,000|Last Updated: May 28, 2026
MLS#620415426
1776 N Monroe, Monroe, Monroe County, Michigan
Status:Active
Property Type
- Acreage
Acreage
0 acres
County
Monroe
Format
Sale
Description
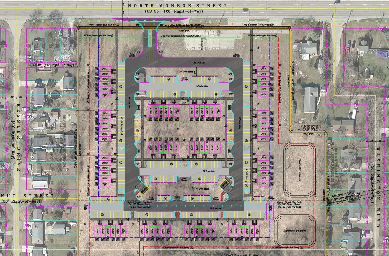
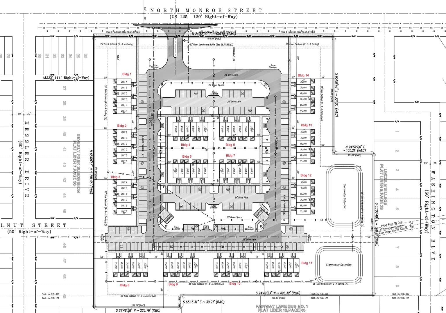
An exceptional opportunity awaits with this 10.60 acre parcel of vacant commercial land, ideally situated just minutes from I-75, I-275, and the Telegraph Road shopping corridor. This shovel ready site has been surveyed and features previously approved site plans for an 84 unit condominium development, thoughtfully designed across 14 buildings with 6 units per building. Zoned commercial and strategically located in a rapidly growing area, this property offers outstanding potential for residential, mixed-use, or commercial development. Whether you're a seasoned builder or an investor seeking your next project, this site provides the infrastructure to hit the ground running.
Listing Agent

Cole McNew
Coldwell Banker Commercial Haynes Real Estate
By submitting, you agree to our privacy policy and terms.

Want to learn more about our financing options?
Enter your email below to receive free resources and information.
By submitting, you agree to our privacy policy and terms.

More land for sale from this broker
View All
$495,000|Listed: Dec 12, 2023
2.14 Acres
Telegraph, Michigan, 48162

$59,900|Listed: Oct 17, 2024
0.29 Acres
Monroe, Michigan, 48162

$399,900|Listed: Oct 14, 2025
38.4 Acres
Monroe, Michigan, 48162




