Search Land - Vacant Land in Belton
Vacant Land in Belton
$325,000|Listed: Jan 22, 2026
MLS#649852901
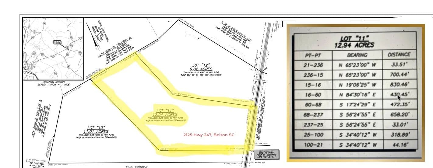
2125 Hwy 247, Belton, Anderson County, South Carolina
Status:Active
Property Type
- Acreage
Acreage
12.66 acres
County
Anderson
Format
Sale
Description
Imagine watching the sunset from the back porch of your dream home, surrounded by peace and tranquility on 12+ acres of Upstate South Carolina land. This is a golden opportunity to own acreage and build. Located about 30 minutes from Greenville and Anderson, you get the feel of a true escape without being far from shopping, dining, and recreation. To the buyer's advantage, a perc test has been completed for a 5 bedroom home and a portion of the property has already been cleared for a future build site. Hardwoods remain along the back and perimeter, creating a naturally private setting and a beautiful backdrop for your future home. This property is also a solid fit for buyers who want an equestrian lifestyle. Horses are allowed with a limit of one head per two acres. Appointments are required to walk the property.
Listing Agent

Alicia Redding
Coldwell Banker Caine
By submitting, you agree to our privacy policy and terms.

Want to learn more about our financing options?
Enter your email below to receive free resources and information.
By submitting, you agree to our privacy policy and terms.












































































































