Search Land - 20±-Acre Property Ideal for Duck, Deer and Turkey Hunting – White County
20±-Acre Property Ideal for Duck, Deer and Turkey Hunting – White County
$99,000|Listed: Feb 20, 2026
MLS#786419383
00 County Road 2550, Mill Shoals, White County, Illinois
Status:Active
Property Type
- Farm
- Acreage
- Recreational Land
- Hunting Land
Acreage
20 acres
County
White
Format
Sale
Features
- Hunting
- Development Potential
Documents
Description
Property Highlights:
20± Acres
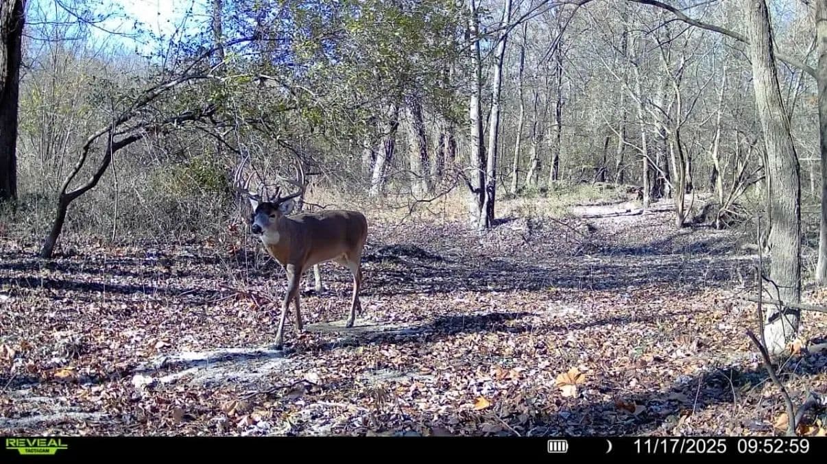
Duck, Deer, and Turkey hunting
Close to the I-64 Interstate
It's hard to find a small farm that has duck, deer, and turkey hunting, and this one has all three. I personally would clear 1-2 food plots on the farm (green on the map), and there is already a trail system around the entire farm. They kill ducks off the old riverbed oxbow, and if you cleared your food plots right up to the edge and planted corn or millet, you would feed the ducks, deer, and turkeys and have some great hunts. I love how this property is right in the middle of the only timber around, but butts up to a big ag field on the SE side. This is a great property to add to your other farms, as a small place to hunt or as someone's first farm.
For more information or to schedule a showing, call or text Shane Yearian (618) 830-2825.
Listing Agent

Trophy Properties and Auction
Trophy Properties and Auction, LLC
Chesterfield, Missouri
By submitting, you agree to our privacy policy and terms.

Want to learn more about our financing options?
Enter your email below to receive free resources and information.
By submitting, you agree to our privacy policy and terms.

More land for sale from this broker
View AllPremier Listing
$220,500|Listed: Apr 11, 2021
45 Acres
Westfield, Illinois, 62474
Premier Listing
$365,000|Listed: Apr 21, 2021
5.6 Acres
Warrenton, Missouri, 63383

Premier Listing
Auction|Listed: Jun 17, 2021
235 Acres
Canton, Kansas, 67428

Premier Listing
Auction|Listed: Sep 6, 2021
224 Acres
Pilot Grove, Missouri, 65276















